Выполним воздушное лазерное сканирование любой сложности
Работаем по всей России.
Точность съемки 2-5 см.
Экономически выгодна при площади от 50 Га.
Выполним воздушное лазерное сканирование любой сложности
Работаем по всей России.
Точность съемки 2-5 см.
Экономически выгодна при площади от 50 Га.
Выберите удобный способ связи
Основная задача воздушного лазерного сканирования — это получение точной и детальной информации о поверхности земли и объектах на ней и формирование рельефа земли.
Результатом ВЛС (воздушного лазерного сканирования) является облако точек с плотностью до 200 точек на кв.м.
Это облако точек в дальнейшем классифицируется на слои: рельеф, растительность, здания и т. д.
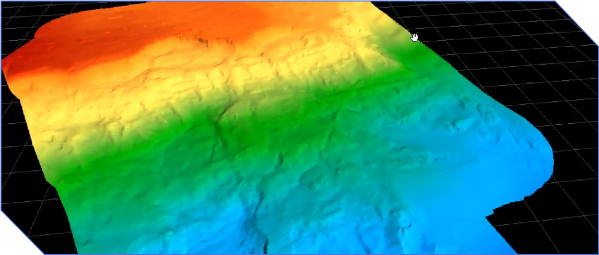
В результате камеральной обработки Заказчик получает цифровую модель рельефа (ЦМР)
и топоплан
в необходимом масштабе и системе координат.
Воздушное лазерное сканирование —
это современный метод топографической съёмки
Основная задача воздушного лазерного сканирования — это получение точной и детальной информации о поверхности земли и объектах на ней и формирование рельефа земли.
Результатом ВЛС (воздушного лазерного сканирования) является облако точек с плотностью до 200 точек на кв.м.
Это облако точек в дальнейшем классифицируется на слои: рельеф, растительность, здания и т. д.
В результате камеральной обработки Заказчик получает цифровую модель рельефа (ЦМР).
Воздушное лазерное сканирование —
это современный метод топографической съёмки
Топоплан в необходимом масштабе и системе координат.
Воздушное лазерное сканирование — это современный метод топографической съёмки
и топоплан
в необходимом масштабе и системе координат.
К нам возвращаются за качественной
работой и высоким сервисом
Снижение сроков и стоимости работ
Выше плотность
и качество измерений
Работа в труднодоступных местах
Исключение дополнительных затрат
Полевые и камеральные работы по формированию цифровой модели рельефа на участке до 300 Га выполняются в течении 4 рабочих дней.
Плотность измерений по данным ВЛС до 200 точек на квадратный метр против плотности 1 точка на 5 м (масштаб 1:500) при традиционных методах съемки.
ВЛС позволяет получить данные о рельефе на любых труднодоступных участках, куда человек не может или не хочет добраться.
При ВЛС получаем полную и исчерпывающую информацию об объекте.
Исключается необходимость дополнительных выездов.
3
Выполнение камеральных работ
Работа с нами проходит комфортно,
оперативно, в срок и с удовольствием
Получение сырых данных, обработка и получение сшитого облака точек.

Выполнение работ согласно техническому заданию, например: построение ЦМР (цифровой модели рельефа) и отрисовка топографического плана.

Выдаем материалы в зависимости от технического
задания.
1
Изучение ТЗ
и заключение договора
Ждём от Вас техническое задание.
При необходимости поможем в его формировании.
Выставляем КП и согласовываем его с Вами.
Заключаем договор.
Закрепляем за Вами координатора проекта.
2
Выполнение полевых работ
Получение всех необходимых разрешений на проведение работ по воздушному лазерному сканированию в соответствии с требованиями
законодательства.

Рекогносцировка (осмотр местности) района проведения работ.

Подготовка планово-высотного обоснования и координирование контрольных точек в объеме, необходимом для обеспечения точности ВЛС.

Проведение съемки.
Применение разных видов топографической
съемки и результаты её работы на площади 2000 га
Аэрофотосъёмка
Воздушное лазерное сканирование
Тахеометрия
+ ГНСС-приемник
Полевые работы
Количество человек
Камеральная обработка
Результаты
Преимущества
Недостатки
20 дней
2
4 дня
2
от 2 недель
Топоплан, техотчёт, облако точек, сшитый ортофотоплан
Высокая информативность
и удобство использования данных для пользователей
Не может дать отметки под растительностью
Нельзя снимать
в темное время суток
от 2 недель
Топоплан, техотчёт, облако точек
Возможность снять отметки земли даже под очень густой растительностью
Высокая стоимость полёта, поэтому выгодно использовать при площади от 50 Га
3 - 4 месяца
4 - 6
от 2 месяцев
Топоплан, техотчёт
Легкость и доступность применения
Сложность или невозможность использования на труднодоступных местах
Небольшая информативность
Работы до 20 дней
2 человека в поле
Камеральная обработка от 2 недель
Съёмка в любое время суток
В результате
В результате
В результате
Недостатки
Преимущества
Преимущества
Преимущества
Недостатки
Недостатки
Работы до 4 дней
2 человека в поле
Работы до 2-3 месяцев
4-6 человек в поле
Камеральная обработка от 2 недель
Камеральная обработка от 2 месяцев
Применение разных видов топографической
съемки и результаты её работы на площади 2000 га
Аэрофотосъёмка
Воздушное лазерное сканирование
Тахометрия
+ ГНСС-приемник
Полевые работы
Количество человек
Камеральная обработка
Результаты
Преимущества
Недостатки
20 дней
2
4 дня
2
от 2 недель
Топоплан, техотчёт, облако точек, сшитый ортофотоплан
Высокая информативность
и удобство использования данных для пользователей
Не может дать отметки под растительностью
Нельзя снимать в темное время суток
от 2 недель
Топоплан, техотчёт, облако точек
Возможность снять отметки земли даже под очень густой растительностью
Высокая стоимость полёта, поэтому выгодно использовать при площади от 50 Га
3 - 4 месяца
4 - 6
от 2 месяцев
Топоплан, техотчёт
Легкость и доступность применения
Сложность или невозможность использования на труднодоступных местах
Небольшая информативность
Работы до 20 дней
2 человека в поле
Камеральная обработка от 2 недель
Съёмка в любое время суток
В результате
В результате
В результате
Недостатки
Преимущества
Преимущества
Преимущества
Недостатки
Недостатки
Работы до 4 дней
2 человека в поле
Работы до 2-3 месяцев
4-6 человек в поле
Камеральная обработка от 2 недель
Камеральная обработка от 2 месяцев
Можно ли доверять данным, полученным с помощью ВЛС?
О работе
При проведении воздушного лазерного сканирования формирование геоосновы и контрольные измерения проводим классическими методами (тахеометром и ГНСС-приёмником).
Точность ВЛС обратно пропорциональна высоте полета. Это означает, что чем выше летает сканер, тем ниже точность получаемых данных. Также точность сканера зависит от его технических характеристик.
На приведённом примере разница между точкой, полученной с помощью GNSS приёмником и точкой на поверхности рельефа, построенной по результатам ВЛС, не превышает 2 см. В целом точность данных воздушного сканера — 3−5 см.
Выбор оптимальной высоты полета зависит от конкретных задач и требований к точности данных. Например, для получения цифровой модели рельефа в масштабе от 1:500 до 1:5000 полёты беспилотника проходят на высотах от 70 до 250 м.
Как получается цифровая модель рельефа по результатам ВЛС?
Результатом Воздушного лазерного сканирования (ВЛС) является облако точек.
Удаление шумов: Устранение точек, которые не соответствуют поверхности земли, например, точки, принадлежащие растительности, зданиям, и т. д.
После получения облака точек местности с помощью специализированных программ, например, Credo 3D Scan, происходит фильтрация и классификация точек.
Классификация: Разделение точек на классы, например, земля, растительность, здания, линии электропередачи и т. д. Это позволяет сегментировать облако точек
По сегментированному облаку точек, в который входят только точки поверхности земли строится цифровая модель рельефа (ЦМР)
Можно ли доверять данным, полученным с помощью ВЛС?
О работе
При проведении воздушного лазерного сканирования формирование геоосновы и контрольные измерения проводим классическими методами (тахеометром и ГНСС-приёмником).
Точность ВЛС обратно пропорциональна высоте полета. Это означает, что чем выше летает сканер, тем ниже точность получаемых данных. Также точность сканера зависит от его технических характеристик.
На приведённом примере разница между точкой, полученной с помощью GNSS приёмником и точкой на поверхности рельефа, построенной по результатам ВЛС, не превышает 2 см. В целом точность данных воздушного сканера — 3−5 см.
Выбор оптимальной высоты полета зависит от конкретных задач и требований к точности данных. Например, для получения цифровой модели рельефа в масштабе от 1:500 до 1:5000 полёты беспилотника проходят на высотах от 70 до 250 м.
Как получается цифровая модель рельефа по результатам ВЛС?
Результатом Воздушного лазерного сканирования (ВЛС) является облако точек.
Удаление шумов: Устранение точек, которые не соответствуют поверхности земли, например, точки, принадлежащие растительности, зданиям, и т. д.
После получения облака точек местности с помощью специализированных программ, например, Credo 3D Scan, происходит фильтрация и классификация точек
Классификация: Разделение точек на классы, например, земля, растительность, здания, линии электропередачи и т. д. Это позволяет сегментировать облако точек
По сегментированному облаку точек, в который входят только точки поверхности земли строится цифровая модель рельефа (ЦМР)
Работаем с различными отраслями
и помогаем им делать свое дело лучше
Строительство генерирующих и электросетевых объектов
Министерство имущественных и земельных отношений
Научно-производственное предприятие «Форт XXI»
Лидер по производству металла ПАО «ГМК «Норильский никель»
Агентство по сохранению и развитию объектов исторической среды
Инженерно-технические решения в нефтегазовом комплексе
Инженерные изыскания ООО «ОМГЕО»
Проектный институт реконструкции и строительства ЗАО «ПИРС»
АО Проектно-изыскательский институт «Ленгипроречтранс»
Строительство генерирующих и электросетевых объектов
Научно-производственное предприятие «Форт XXI»
Лидер по производству металла ПАО «ГМК «Норильский никель»
Министерство имущественных и земельных отношений
Что интересует наших клиентов?